sexta-feira, 28 de novembro de 2008

Plantas ornamentais: "Limpa-garrafas" (Callistemon rigidus)

(A planta)

(Pormenor)

Limpa-garrafas é o nome vulgar atribuído a esta planta, com o nome científico de Callistemon rigidus R.Br. Originária da Austrália, é usada em Portugal como planta ornamental. Pertence à: Divisão: Magnoliophyta; Classe: Magnoliopsida; Ordem: Myrtales; Família: Myrtaceae; Género: Callistemon, género de que a Callistemon rigidus é uma das 34 espécies existentes.
(Para ampliar, clicar sobre s imagens)

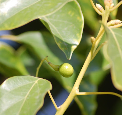
Canforeira (Cinnamomum camphora)

(A árvore)

(Pormenor de um ramo com um fruto)

A Canforeira (conhecida no Brasil pelo nome comum de Canforeiro) com a designação científica de Cinnamomum camphora (L.) Sieb. é uma planta originária do Extremo Oriente (China, Japão, Taiwan e Indochina), pertencente à: Divisão: Magnoliophyta; Classe: Magnoliopsida; Ordem: Laurales; Família: Lauraceae; Género: Cinnamomum; Espécie: Cinnamomum camphora;
Desta planta extrai-se uma substância química (a cânfora, termo com que também se designa, vulgarmente, a própria planta) substância que é usada no fabrico de plásticos e do celulóide, sendo também utilizada como incenso e na preparação de medicamentos.
(Para ampliar, clicar sobre as imagens, obtidas no jardim da Casa da Cerca - Almada)

quinta-feira, 27 de novembro de 2008

Plantas ornamentais: Brincos-de-princesa (Gen. Fuchsia)

(Para ampliar, clicar sobre a imagem)
Planta do género Fuchsia Plum., designada em Portugal e no Brasil, tal como outras do mesmo género, por "Brincos-de-princesa", ou "Fúcsia". Existem mais de uma centena de espécies deste género de plantas, para além de numerosos híbridos. Dada a beleza das suas flores, esta planta é muito usada como planta ornamental, quer no interior, quer no exterior das habitações. Este género de plantas pertence à: Divisão:Magnoliophyta; Classe: Magnoliopsida; Ordem: Myrtales; Família: Onagraceae;

segunda-feira, 24 de novembro de 2008

Dama-da-noite (Cestrum nocturnum)

(Para ampliar, clicar sobre a imagem)
Dama-da-noite, Jasmim-da-noite e Jasmim-verde são alguns dos nomes comuns atribuídos a esta planta, com o nome científico de Cestrum nocturnum L. que pertence à: Divisão: Magnoliophyta; Classe: Magnoliopsida; Ordem: Solanales; Família: Solanaceae; Género: Cestrum; Espécie: Cestrum nocturnum.
Trata-se de uma planta ornamental, originária do México, América Central e Índia. A suas flores são muito odoríferas, mas todas as partes da planta são tóxicas.

quarta-feira, 19 de novembro de 2008

Tamargueira-rosada (Tamarix gallica) em flor, com bónus

(Para ampliar, clicar sobre a imagem)

Tamargueira-rosada (Tamarix gallica L.), em flor, com bónus (duas pequenas vespas esvoaçando sobre as flores). Esta planta é originária das regiões secas da Europa do Sul, cresce espontaneamente em Portugal, sobretudo no Sul do país e é também usada, em Portugal, como planta ornamental.
Pertence à: Divisão: Magnoliophyta; Classe: Magnoliopsida; Ordem: Caryophyllales; Família: Tamaricaceae; Género: Tamarix; Espécie: Tamarix gallica.
(Imagem colhida no jardim do Castelo de Tavira)

Em maré de couves, sai uma couve lombarda (Brassica oleracea, grupo Sabauda)

No seguimento do penúltimo "post", a imagem da Couve-lombarda, ou simplesmente, "Lombarda", pertencente, tal como a couve-portuguesa, à espécie Couve (Brassica oleracea), mas integrante do grupo Sabauda. Os usos culinários desta planta são os mesmos da Couve-portuguesa.

domingo, 16 de novembro de 2008

A Batateira (Solanum tuberosum) e a batata

(A batateira)

(A flor)

(Os tubérculos)

A Batateira (nome científico: Solanum tuberosum L.) pertence à: Divisão: Magnoliophyta; Classe: Magnoliopsida; Ordem: Solanales; Família: Solanaceae; Género: Solanum; Espécie: Solanum tuberosum.
O tubérculo da batateira (a batata, termo que é utilizado também para designar a própria planta) é, seguramente, um dos alimentos mais consumidos em todo o mundo e sob as mais variadas formas (batatas cozidas, fritas, assadas e em puré). Originária da América do Sul, a batata foi dali trazida para Espanha no século XVI, tendo-se, posteriormente, expandido a sua cultura pela Europa e por todo o mundo. Em Portugal e sobretudo nas comunidades rurais, a batata (de que existem, actualmente, milhares de variedades) constituiu, durante os últimos séculos e até há poucas décadas, a base da alimentação humana, em substituição da castanha.
(Para ampliar, clicar sobre as imagens)

sábado, 15 de novembro de 2008

Plantas alimentares: Couve-portuguesa (Brassica oleracea)

(Para ampliar, clicar sobre a imagem)
Couve-portuguesa ou Couve-tronchuda são as designações comuns desta variedade da planta da espécie Couve (nome científico : Brassica oleracea L., ou Brassica sylvestris (L.) Mill.), espécie que pertence à: Divisão: Magnoliophyta; Classe: Magnoliopsida; Ordem: Brassicales; Família: Brassicaceae; Género: Brassica.
Existem numerosas variedades de couve, formando grupos, alguns divididos em subgrupos. A couve-portuguesa inclui-se no grupo Costata.
Da couve-portuguesa utilizam-se, na alimentação humana, as folhas e os grelos: aquelas na confecção de sopas e de outros pratos, como p.e. "feijoada à transmontana"; os grelos para acompanhamento de outros pratos e na confecção de arroz (arroz de grelos).

sexta-feira, 14 de novembro de 2008

Medronheiro (Arbutus unedo): A Flor

(Para ampliar, clicar sobre a imagem)

aqui se publicou uma mensagem com a planta e os frutos do Medronheiro. Como estamos na época da floração, publica-se agora uma imagem da respectiva flor. A planta também é conhecida pelo nome comum de "Ervedeiro".
Classificação científica da planta: Divisão: Magnoliophyta; Classe: Magnoliopsida; Ordem: Ericales; Família: Ericaceae; Género: Arbutus; Espécie: Arbutus unedo.

Plantas alimentares: O Almeirão (Cichorium intybus)

(A planta)
(Canteiro de almeirões)

Publicou-se no "post" anterior uma imagem com a flor do Almeirão. Publicam-se agora duas imagens: uma da planta, antes da floração, época em que as suas folhas são comestíveis ( foto 1), e outra de um canteiro de almeirões (foto 2). Para mais informação sobre a planta, veja-se o "post" anterior.

domingo, 9 de novembro de 2008

Flor de Almeirão (Chicorium intybus)

(Para ampliar, clicar sobre a imagem)

Flor do Almeirão (Cichorium intybus), planta que pertence à: Divisão: Magnoliophyta; Classe: Magnoliopsida; Ordem: Asperales; Família: Asteraceae; Género: Cichorium.
O Almeirão é uma planta alimentar, cujas folhas são, à semelhança das folhas da alface, utilizadas em saladas, sendo que as folhas do almeirão são mais nutritivas que as da alface, e possuem também um sabor amargo mais acentuado. Para atenuar esse sabor, é conveniente deixá-las permanecer em água durante algum tempo, depois de cortadas e antes de serem utilizadas.

sábado, 8 de novembro de 2008

Plantas ornamentais: Pata-de-cavalo (Ligularia tussilaginea)

(Para ampliar clicar sobre a imagem)

Planta designada vulgarmente por Pata-de-cavalo, com o nome científico de Ligularia tussilaginea (Burm. fil.) Mak. é originária da China, Coreia, Japão e Formosa, sendo utilizada em Portugal como planta ornamental.
Classificação científica: A planta pertence à Divisão: Magnoliophyta; Classe: Magnoliopsida; Ordem: Asterales; Família: Asteraceae; Género: Ligularia.

sexta-feira, 7 de novembro de 2008

Plantas ornamentais: A Hera ( Hedera helix)

(Pormenor de um ramo de hera)

(Aspecto da planta revestindo um muro)

(A hera em flor trepando por uma árvore)

(Pormenor da inflorescência)

A Hera ( Hedera helix L.) é uma planta trepadeira que surge espontaneamente no campo, revestindo muros, paredes e mesmo árvores, servindo-lhe uns e outras de suporte para trepar e a que se agarra com as suas raízes adventícias. Em Portugal, para além de espontânea, é também utilizada como planta ornamental. É também conhecida pelos nomes vulgares de heradeira, hereira, aradeira, hedra e hera-dos-muros.
Pertence à Divisão: Magnoliophyta; Classe: Magnoliopsida; Ordem: Apiales; Família: Araliaceae; Subfamília: Melinae; Género: Hedera.
(As imagens poderão ser ampliadas, clicando sobre elas)